Local Service Overview

Get Ants Extermination Service in Wylie, TX

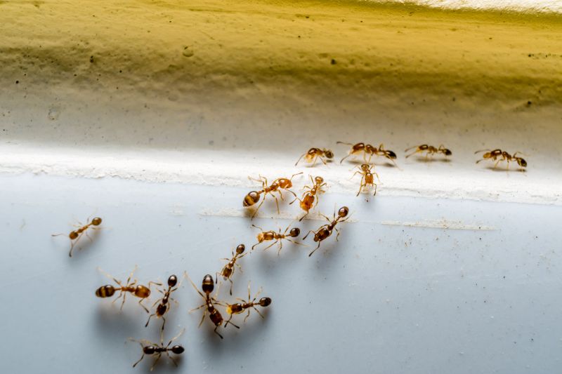
Ants extermination services for property owners in Wylie, TX, and nearby areas address ant infestations, including nests removal, barrier treatments, and ongoing prevention solutions.

Wylie, TX

Ants extermination services are a practical solution for property owners in Wylie, TX seeking to maintain a comfortable and safe living or working environment. Infestations can disrupt daily routines, pose health concerns, and cause damage to structures or belongings. Professional exterminators employ targeted methods to effectively eliminate ant colonies, helping to restore peace of mind and ensure the functionality of the property.

Choosing expert ant control can also enhance curb appeal by preventing unsightly trails and nests from forming around the property. Additionally, regular treatments can reduce the likelihood of future invasions, leading to decreased maintenance needs and increased durability of the property’s interior and exterior features. This proactive approach supports a more inviting and well-maintained space for residents and visitors alike.

Get Ants Extermination Service Quotes

  • Ants Extermination - When ants invade kitchens or pantry areas in Wylie, TX, professional extermination services can help eliminate the colony.
  • Ants Extermination - Homes experiencing persistent ant trails or nests outdoors near Wylie, TX, may require expert pest control solutions.
  • Ants Extermination - Businesses in Wylie, TX, seeking to prevent ant infestations in storage or food preparation areas can benefit from specialized treatments.
  • Ants Extermination - If ant populations are found inside wall voids or hard-to-reach places around Wylie, TX, professional services can address the issue effectively.
  • Ants Extermination - New construction sites or renovations in Wylie, TX, might need ant control measures to prevent future infestations.

Get Ants Extermination Service Quotes

Ants Extermination Service
Ants Extermination Service
Ants Extermination Service

Ants extermination services involve identifying and eliminating ant infestations within residential, commercial, and industrial properties. Service providers typically conduct thorough inspections to locate ant colonies and determine the species involved. Once the source of the problem is pinpointed, they may apply targeted treatments, such as baiting or chemical barriers, to eradicate the ants and prevent future invasions. The goal is to eliminate visible ants and address the underlying nest or trail systems that contribute to ongoing issues.

Ant problems can cause significant disruptions, especially when large colonies invade living or working spaces. Common issues include contamination of food supplies, damage to property, and the nuisance of constant ant activity. In some cases, certain ant species, like carpenter ants, can compromise the structural integrity of wood elements in a building. Professional extermination services help resolve these problems by removing the infestation efficiently and reducing the likelihood of recurring issues, providing peace of mind for property owners.

Various types of properties utilize ants extermination services, including single-family homes, apartment complexes, restaurants, and retail stores. Homes are often targeted due to the desire to maintain a clean and safe environment, especially in kitchens and pantries. Commercial establishments such as restaurants and food warehouses seek pest control to comply with health regulations and prevent damage to inventory. Additionally, office buildings and industrial facilities may require ongoing pest management to control ant populations and protect their operations.

Engaging with local pest control providers ensures that property owners receive tailored solutions suited to their specific needs. These professionals typically use proven methods to eliminate ants and implement preventative measures to reduce the chances of future infestations. Whether dealing with a minor nuisance or a more extensive invasion, contacting experienced local service providers can help address ant problems effectively across a variety of property types.

The overview below groups typical Ants Extermination Service projects into broad ranges so you can see how smaller, mid-sized, and larger jobs often compare in Wylie, TX.

In many markets, a large share of routine jobs stays in the lower and middle ranges, while only a smaller percentage of projects moves into the highest bands when the work is more complex or site conditions are harder than average.

Initial Inspection - The cost for an ant inspection typically ranges from $50 to $150, depending on the property's size and complexity. Some providers may charge a flat fee or include it as part of the treatment service.

One-Time Treatment - A single ant extermination treatment can cost between $100 and $300. Factors influencing the price include the severity of the infestation and the treatment method used.

Ongoing Maintenance - Monthly or quarterly maintenance plans usually range from $50 to $150 per visit. These plans aim to prevent future ant problems and may vary based on property size and service frequency.

Specialized Services - For targeted treatments such as nest removal or barrier applications, costs can range from $200 to $500. Prices depend on the extent of the infestation and the specific techniques employed by local service providers.

Actual totals will depend on details like access to the work area, the scope of the project, and the materials selected, so use these as general starting points rather than exact figures.

Get an Ants Extermination Service Quote

Ants Extermination - Local pest control providers offer services to effectively eliminate ant infestations in residential and commercial properties in Wylie, TX and surrounding areas.

Ant Control Treatments - Professionals utilize targeted treatments to reduce ant populations and prevent future invasions, ensuring a pest-free environment.

Barrier and Prevention Services - Local experts establish barriers and recommend strategies to prevent ants from entering homes and businesses.

Infestation Inspection - Qualified service providers perform thorough inspections to identify ant species and determine the extent of the infestation.

Eco-Friendly Ant Removal - Some providers offer environmentally conscious options for ant extermination that minimize chemical use.

Ongoing Pest Management - Regular maintenance plans are available to keep ant problems under control over time.

Ants Extermination Service

When selecting a local ant extermination service, it’s important to consider the experience and reputation of the professionals in the area. Homeowners should look for service providers with a proven track record of handling ant infestations effectively and efficiently. Reputable references and reviews can offer insight into the quality of their work and customer satisfaction, helping to inform a well-rounded decision. While the site provides a list of local options, it does not perform the services directly, so researching individual pros’ backgrounds and client feedback is recommended.

Clear and written expectations are vital when working with ant extermination specialists. Homeowners should seek service providers who communicate their process, methods, and any necessary preparations transparently. Understanding what to expect from the treatment, follow-up procedures, and potential outcomes can help ensure alignment and satisfaction with the service. It is advisable to contact local pros directly to discuss specific needs and confirm that their approach aligns with the homeowner’s expectations.

Effective communication is essential when engaging with local ant extermination experts. Homeowners should prioritize providers who are responsive and willing to answer questions thoroughly, providing detailed information about their services. Establishing open lines of communication can facilitate a smoother experience and help address any concerns promptly. Since the site connects users with local pros rather than performing the work itself, reaching out to individual service providers is the best way to ensure that communication meets the homeowner’s preferences and requirements.

Get an Ants Extermination Service Quote

Property owners in Wylie, TX use Ants Extermination Service services for practical projects around their homes and businesses. The sections below highlight everyday jobs and straightforward project options.

Ants Extermination Service
Ants Extermination Service

Ants extermination services are commonly sought after by property owners in Wylie, TX, when ants invade homes or businesses, creating nuisances or potential health concerns. Common situations include discovering ant trails along walls, countertops, or entry points, prompting the need for professional assistance to eliminate the infestation and prevent future issues. Property owners may also seek these services when ants are found in kitchens, gardens, or near outdoor structures, especially during warmer months when ant activity tends to increase.

In addition to immediate infestations, property owners often contact local service providers to establish ongoing prevention strategies. This can involve identifying and sealing entry points, applying barrier treatments, or implementing other pest management practices to deter ants from returning. Whether dealing with a small colony or a more extensive problem, professional extermination services help address the situation effectively and reduce the likelihood of recurring ant issues in Wylie, TX.

Get an Ants Extermination Service Quote

How do ant extermination services work? Ant extermination services typically involve inspecting the affected area, identifying ant species and entry points, and applying targeted treatments to eliminate colonies and prevent future infestations.

Are ant treatments safe for pets and children? Most ant extermination methods are designed to be safe when applied by professionals, but it’s recommended to discuss specific concerns with local service providers.

How long does an ant extermination treatment last? The duration of effectiveness varies depending on the treatment method and extent of the infestation, so local pros can provide more detailed information.

Will I need multiple visits for ant control? The need for multiple visits depends on the severity of the ant problem and treatment approach; local contractors can advise on the best course of action.

How can I prevent future ant infestations? Preventative measures include sealing entry points, maintaining cleanliness, and consulting with local ant extermination services for ongoing prevention strategies.

Ants Extermination Solutions - Local service providers offer targeted treatments to eliminate ant colonies and prevent future infestations.

Inspection and Identification - Pros can assess property conditions to identify ant entry points and nesting areas for effective control.

Barrier Treatments - Professionals apply perimeter barriers to create a protective zone around homes, reducing ant intrusion.

Ongoing Monitoring and Prevention - Service providers can implement strategies to monitor ant activity and maintain pest-free environments.

Ants Extermination Service

Considering Ants Extermination Service for a property in Wylie, TX? The sections above highlight common project types, practical options, and details that often shape the scope of work.

When you are ready, use the quote form to share a few details about your project. Local pros can review the basics and respond with options that match what you have in mind.

Get an Ants Extermination Service Quote

Ants Extermination Quotes

Our Trusted Partners
Cantu Pest Control
Orkin
Hawx Pest Control