Local Service Overview

Get Ants Extermination Service in Hutchins, TX

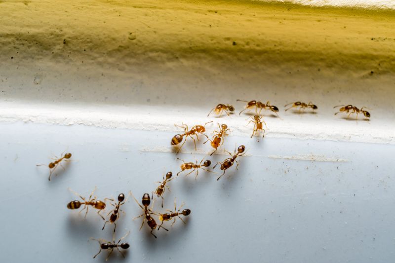
Ants extermination services for Hutchins, TX, property owners address ant infestations, including nests and trails, through targeted treatments and ongoing prevention solutions.

Hutchins, TX

Ants extermination services are a practical solution for property owners in Hutchins, TX seeking to maintain a comfortable and safe living or working environment. Effective pest control helps prevent ant infestations that can threaten the functionality of a property by damaging structures, contaminating food supplies, and creating unsanitary conditions. Addressing ant issues promptly can also reduce ongoing maintenance needs, saving property owners time and effort while preserving the durability and appearance of their spaces.

Choosing professional ant extermination services offers benefits such as enhanced curb appeal and peace of mind. A pest-free property looks well-maintained and inviting, which can positively influence property value and overall aesthetics. Additionally, eliminating ants can contribute to a safer environment by reducing the risk of bites, allergies, and the spread of bacteria associated with pests. Contacting local service providers ensures tailored solutions to effectively control ant populations and support long-term property health.

Get Ants Extermination Service Quotes

  • Ants Extermination - needed when ants invade homes or commercial properties in Hutchins, TX and nearby areas.
  • Ants Prevention - essential for preventing future ant infestations in residential and business settings.
  • Ants Inspection - recommended when signs of ant activity are observed or for routine pest monitoring.
  • Ants Treatment - required to eliminate existing ant colonies and reduce the risk of re-infestation.
  • Ants Control - sought after for ongoing management of ant problems in various local environments.

Get Ants Extermination Service Quotes

Ants Extermination Service
Ants Extermination Service
Ants Extermination Service

Ants extermination services involve professional treatments designed to eliminate ant colonies and prevent future infestations. These services typically include a thorough inspection of the property to identify ant entry points, nests, and foraging trails. Based on the findings, service providers apply targeted solutions such as baits, dusts, or liquid treatments that are safe for indoor and outdoor use. The goal is to reduce or completely eradicate ant populations while minimizing disruption to the property’s environment.

Ant infestations can cause various problems for homeowners and property managers. Ants can contaminate food supplies, damage structures by nesting in wood or insulation, and become a persistent nuisance that disrupts daily activities. In some cases, certain types of ants, such as fire ants, pose health risks due to their painful stings. Professional extermination services help address these issues by controlling and removing ant populations, thereby reducing the risk of damage and improving overall hygiene and comfort.

Properties that typically utilize ants extermination services include residential homes, apartment complexes, and commercial establishments. Homes often seek treatment when ants invade kitchens, bathrooms, or other living spaces, especially when DIY methods prove ineffective. Commercial properties such as restaurants, grocery stores, and food processing facilities also require professional pest control to maintain sanitation standards and comply with health regulations. Additionally, outdoor areas like gardens and patios may be treated to prevent ants from establishing colonies near the property.

Engaging with local pest control providers for ants extermination offers tailored solutions suited to specific property needs. These professionals assess the extent of the infestation and recommend appropriate treatment plans to ensure effective control. Whether dealing with a minor nuisance or a more extensive problem, contacting experienced service providers can help manage ant issues efficiently. Proper treatment not only addresses current infestations but also helps prevent future occurrences, contributing to a more comfortable and pest-free environment.

The overview below groups typical Ants Extermination Service projects into broad ranges so you can see how smaller, mid-sized, and larger jobs often compare in Hutchins, TX.

In many markets, a large share of routine jobs stays in the lower and middle ranges, while only a smaller percentage of projects moves into the highest bands when the work is more complex or site conditions are harder than average.

Initial Inspection and Treatment - Typically costs between $100 and $300 for a thorough inspection and initial ant treatment. Prices vary depending on the size of the property and the severity of the infestation.

Perimeter Barrier Service - This service usually ranges from $150 to $400, covering the application of barriers around the property to prevent ant entry. Larger homes or properties may incur higher costs.

Ongoing Maintenance Plans - Monthly or quarterly maintenance plans generally cost between $50 and $150 per visit, depending on the extent of the treatment area and the frequency of service.

Whole-Property Extermination - Complete extermination for an entire residential property can range from $200 to $600, influenced by property size and ant species involved. Local pros can provide tailored estimates based on specific needs.

Actual totals will depend on details like access to the work area, the scope of the project, and the materials selected, so use these as general starting points rather than exact figures.

Get an Ants Extermination Service Quote

Ants Extermination services involve professionals who specialize in identifying and eliminating ant infestations in residential and commercial properties in Hutchins, TX and surrounding areas.

Ants Control providers use targeted treatment methods to remove ant colonies and prevent future invasions, ensuring a pest-free environment.

Ants Removal experts assess the extent of ant problems and apply effective solutions tailored to specific property needs in Hutchins and nearby communities.

Ants Pest Management services focus on integrated approaches to control ant populations while minimizing disruption to the property and its occupants.

Ants Infestation Treatment specialists work to eliminate existing ant nests and implement measures to reduce the risk of recurrence in both residential and commercial settings.

Ants Prevention professionals provide advice and treatments designed to keep properties ant-free over the long term in Hutchins, TX and neighboring areas.

Ants Extermination Service

When selecting a professional for ant extermination services, it is important to consider the experience and reputation of local providers. Many experienced contractors have established a history of handling ant infestations effectively within communities like Hutchins, TX. Pros with a strong track record often demonstrate a thorough understanding of local ant species and common entry points, which can contribute to more successful treatment outcomes. Checking references or reviews from previous customers can provide insights into their reliability and the quality of their work, helping homeowners make informed decisions.

Clear communication and well-defined expectations are vital when working with ant extermination specialists. Reputable service providers typically offer detailed explanations of their methods and what homeowners can expect during the process. This helps ensure that there are no surprises and that the homeowner understands the scope of the service. When contacting local pros, it can be beneficial to inquire about their approach, what areas will be treated, and any follow-up procedures to maintain a pest-free environment.

Since this platform introduces local options rather than performing the work directly, homeowners are encouraged to evaluate multiple service providers to find the best match for their needs. Reputable local pros often provide transparent information about their experience, communication style, and references, which can assist in making an educated choice. Engaging with professionals who prioritize clear communication and have positive local reputations can lead to a smoother service experience and more effective ant control results.

Get an Ants Extermination Service Quote

Property owners in Hutchins, TX use Ants Extermination Service services for practical projects around their homes and businesses. The sections below highlight everyday jobs and straightforward project options.

Ants Extermination Service
Ants Extermination Service

Ants extermination services are commonly sought by property owners in Hutchins, TX who experience persistent ant invasions in residential or commercial spaces. These pests can invade kitchens, pantries, and other areas where food is stored or prepared, creating nuisances and potential health concerns. Local service providers offer solutions to eliminate ant colonies and prevent future infestations, helping property owners maintain a clean and comfortable environment.

In addition to food-related issues, property owners may look for ant extermination when noticing ant trails or signs of nests around their property. Ants can sometimes indicate underlying moisture or structural problems, prompting property owners in Hutchins to seek professional assistance. Local pest control providers are available to assess the situation, identify the source of the infestation, and implement targeted treatments to address the problem effectively.

Get an Ants Extermination Service Quote

How do ant extermination services work? Ant extermination services typically involve inspecting the property to identify ant entry points and nests, then applying targeted treatments to eliminate colonies and prevent future infestations.

Are there different types of ant treatments available? Yes, local service providers may offer various treatment options, including baiting, liquid sprays, and barrier treatments, tailored to the specific ant species and infestation level.

How long does an ant extermination treatment last? The duration of effectiveness depends on the treatment type and severity of the infestation; a professional can recommend the best approach for ongoing control.

Is ant extermination safe for pets and children? Most treatments used by professionals are designed to be safe when applied properly; it’s advisable to follow any specific safety guidelines provided by the service provider.

What should I do before an ant extermination service? It’s recommended to clear the area of clutter and food items, and inform the service provider of any specific concerns or areas where ants are most active.

Ants Identification and Behavior - Understanding ant species and their nesting habits can help in selecting the most effective extermination methods.

Professional Ant Extermination Solutions - Local service providers offer targeted treatments to eliminate ant colonies and prevent future infestations.

Integrated Pest Management Strategies - Combining chemical and non-chemical approaches can improve long-term ant control results.

Preventive Measures for Ant Prevention - Experts can advise on sealing entry points and eliminating attractants to reduce ant activity around properties.

Ants Extermination Service

Considering Ants Extermination Service for a property in Hutchins, TX? The sections above highlight common project types, practical options, and details that often shape the scope of work.

When you are ready, use the quote form to share a few details about your project. Local pros can review the basics and respond with options that match what you have in mind.

Get an Ants Extermination Service Quote

Ants Extermination Quotes

Our Trusted Partners
Cantu Pest Control
Orkin
Hawx Pest Control