Local Service Overview

Get Ants Extermination Service in Rowlett, TX

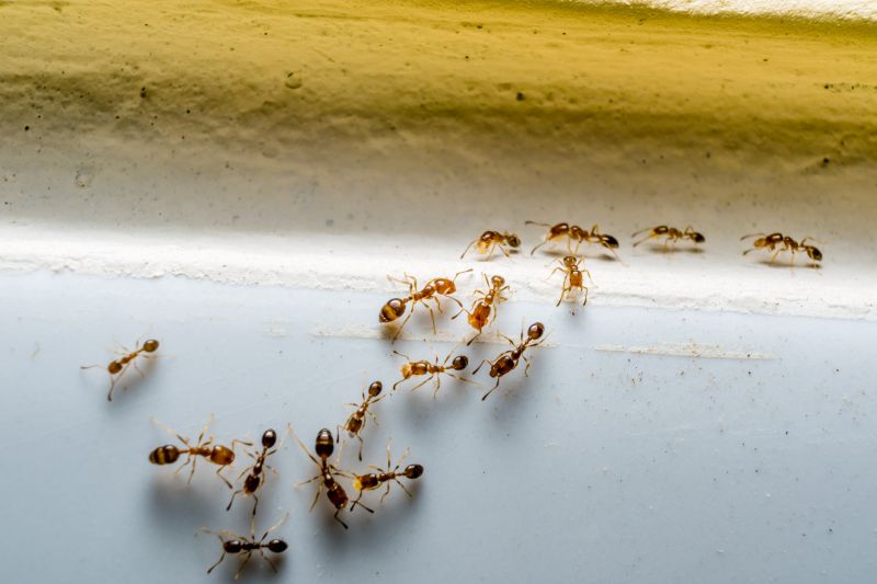
Ants extermination services for property owners in Rowlett, TX, and nearby areas address ant infestations, prevent future outbreaks, and handle residential and commercial ant control projects.

Rowlett, TX

Ants extermination services provide property owners in Rowlett, TX with an effective solution to manage and eliminate ant infestations. These services address practical concerns such as maintaining a comfortable living environment, ensuring safety by preventing potential pest-borne issues, and preserving the functionality of outdoor and indoor spaces. By targeting ant colonies at the source, property owners can enjoy a more enjoyable and worry-free environment, free from the nuisance and damage caused by these persistent pests.

Engaging professional extermination services offers benefits like enhanced curb appeal by keeping properties looking well-maintained, reducing the need for ongoing pest management, and increasing the durability of structures by preventing damage from ant activity. With expert treatment options, property owners can achieve a more stable and inviting space, minimizing disruptions and maintaining the overall value of their property in Rowlett, TX.

Get Ants Extermination Service Quotes

  • Ants Extermination - needed when ants invade kitchens or living spaces in residential or commercial properties.
  • Ants Extermination - required for ongoing ant infestations in homes or businesses in the Rowlett, TX area.
  • Ants Extermination - essential when ants are found nesting outdoors and pose a risk of entering buildings.
  • Ants Extermination - necessary after spotting trails or large colonies in yards or around property foundations.
  • Ants Extermination - sought when ant activity persists despite basic cleaning and prevention efforts.

Get Ants Extermination Service Quotes

Ants Extermination Service
Ants Extermination Service
Ants Extermination Service

Ants extermination services involve professional treatments designed to eliminate ant infestations from residential, commercial, or industrial properties. These services typically include thorough inspections to identify the source and extent of the ant problem, followed by targeted application of pest control solutions. The goal is to remove existing colonies and prevent future invasions by addressing entry points, nesting sites, and food sources that attract ants. Many service providers also offer advice on sanitation and property maintenance to reduce the likelihood of recurring issues.

Ant infestations can cause a range of problems for property owners. In addition to the nuisance of constant ant activity, certain species can contaminate food supplies and surfaces, leading to health concerns. Some ants, like fire ants, pose physical risks through painful stings, especially for individuals with allergies. Structural damage is less common but can occur if ants establish nests within walls or foundation areas. Effective extermination services help mitigate these issues by removing colonies and implementing preventative measures to protect the property and its occupants.

Various types of properties utilize ants extermination services, including single-family homes, apartment complexes, restaurants, and retail stores. Residential properties often seek pest control to maintain a clean and comfortable living environment, especially in areas where ants are prevalent. Commercial establishments, particularly food service businesses, prioritize extermination to comply with health standards and prevent contamination. Additionally, property managers and landlords frequently engage pest control providers to manage infestations across multiple units or commercial spaces, ensuring a pest-free environment for tenants and customers.

Professional ant extermination services focus on delivering effective, targeted solutions tailored to each property’s specific needs. Service providers typically use a combination of baiting, residual sprays, and barrier treatments to eliminate ants and their colonies. They may also recommend ongoing monitoring or maintenance programs to ensure the problem does not recur. By addressing the root causes of infestations, these services help property owners maintain a pest-free space, reduce potential health risks, and improve overall property conditions.

The overview below groups typical Ants Extermination Service projects into broad ranges so you can see how smaller, mid-sized, and larger jobs often compare in Rowlett, TX.

In many markets, a large share of routine jobs stays in the lower and middle ranges, while only a smaller percentage of projects moves into the highest bands when the work is more complex or site conditions are harder than average.

Initial Inspection - The cost for an ant inspection typically ranges from $50 to $150, depending on property size and complexity. This fee often covers identifying ant species and entry points. Additional treatment costs are usually separate.

Perimeter Treatment - Applying ant control around the exterior can cost between $100 and $300. The price varies based on yard size and the extent of infestation, with larger areas generally costing more.

Interior Treatment - Interior ant extermination services generally range from $80 to $250. This includes targeted treatments in kitchens, bathrooms, and other affected areas within a home or building.

Recurring Services - Ongoing ant control plans may cost between $50 and $150 per visit. Regular visits help prevent future infestations and are tailored to property needs and severity of ant activity.

Actual totals will depend on details like access to the work area, the scope of the project, and the materials selected, so use these as general starting points rather than exact figures.

Get an Ants Extermination Service Quote

Ants Extermination - Local pest control providers offer specialized services to eliminate ant infestations and prevent future occurrences.

Ant Colony Removal - Professionals use targeted methods to locate and remove ant colonies within residential or commercial properties.

Kitchen and Pantry Ant Control - Service providers focus on treating areas where ants are commonly found, such as kitchens and food storage spaces.

Outdoor Ant Control - Experts apply treatments to yards and exterior structures to reduce ant populations and protect property perimeters.

Sanitation and Prevention Advice - Local pros may provide guidance on sanitation practices to minimize ant attractants and discourage re-infestation.

Emergency Ant Extermination - Immediate response services are available for urgent ant infestations disrupting residential or business environments.

Ants Extermination Service

When comparing ant extermination services, experience is an important factor to consider. Local professionals often have extensive knowledge of the specific ant species common in areas like Rowlett, TX, and nearby communities. This familiarity can contribute to more effective treatment strategies tailored to local conditions. Additionally, a contractor’s history of successfully handling ant infestations can provide insight into their expertise and reliability, helping homeowners make informed decisions.

Clear communication and written expectations are vital when selecting a pest control provider. Reputable local pros typically provide detailed service descriptions, outlining what treatments will involve and what results to expect. This transparency helps set realistic goals and ensures homeowners are aligned with the service provider’s approach. Open channels of communication also facilitate addressing any questions or concerns throughout the process, fostering a smoother experience.

References from previous clients and reputation within the community further assist in evaluating local ant extermination services. Pros with a solid reputation are often recognized for consistent quality and professionalism. Homeowners can seek recommendations or reviews from trusted sources to gauge the reliability of a contractor. It is important to remember that the information below connects users with local service providers and does not perform the work itself, emphasizing the value of researching reputable options in the area.

Get an Ants Extermination Service Quote

Property owners in Rowlett, TX use Ants Extermination Service services for practical projects around their homes and businesses. The sections below highlight everyday jobs and straightforward project options.

Ants Extermination Service
Ants Extermination Service

Ants extermination services are commonly sought by property owners in Rowlett, TX when they notice signs of ant activity around their homes or businesses. Common situations include discovering ant trails in kitchens, bathrooms, or outdoor areas, especially during warmer months when ants become more active. Property owners may also seek professional help if they notice an increase in ant populations or if previous DIY efforts have not effectively controlled the problem.

Many property owners in the area turn to local extermination professionals to address ant infestations that threaten comfort and hygiene. Factors such as food spills, moisture problems, or unsealed entry points can attract ants, prompting owners to seek expert assistance. Professionals can identify the source of the infestation and implement targeted treatments to help maintain a pest-free environment.

Get an Ants Extermination Service Quote

How do ant extermination services work? Ant extermination services typically involve inspecting the property to identify ant activity and entry points, followed by applying targeted treatments to eliminate colonies and prevent future infestations. Local service providers may use baiting, spraying, or dusting methods depending on the situation.

Are ant extermination treatments safe for pets and children? Most professional ant extermination treatments are designed to be safe when applied properly. It is recommended to follow the guidance of local providers regarding safety precautions after treatment to protect pets and children.

How long does an ant extermination service usually take? The duration of ant extermination services can vary based on the extent of the infestation and the treatment methods used. Typically, services can be completed within a few hours.

Will I need multiple treatments to control ants? Depending on the severity of the infestation, multiple treatments may be necessary to fully eliminate ants and prevent re-infestation. Local professionals can advise on the appropriate follow-up actions.

How can I prevent future ant problems? Prevention strategies often include sealing entry points, maintaining cleanliness, and removing food sources. Consulting with local ant extermination providers can help develop an effective prevention plan.

Ants Control Solutions - Local service providers offer targeted treatments to eliminate ant infestations and prevent future invasions.

Inspection and Identification - Pros can assess property conditions to identify ant entry points and nesting areas for effective removal strategies.

Preventive Pest Management - Service providers recommend ongoing measures to reduce the likelihood of ant re-infestation around residential and commercial properties.

Eco-Friendly Treatment Options - Many local experts utilize environmentally conscious methods to control ants while minimizing impact on the surroundings.

Ants Extermination Service

Considering Ants Extermination Service for a property in Rowlett, TX? The sections above highlight common project types, practical options, and details that often shape the scope of work.

When you are ready, use the quote form to share a few details about your project. Local pros can review the basics and respond with options that match what you have in mind.

Get an Ants Extermination Service Quote

Ants Extermination Quotes

Our Trusted Partners
Cantu Pest Control
Orkin
Hawx Pest Control